
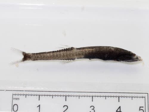
Neophyte Sandgoby
NameNeophyte Sandgoby
Scientific NameIstigobius neophytus
Common NamesNeophyte Sandgoby, Neophyte Goby, Sand Goby
FamilyGobiidae
OriginIndo-Pacific, Western Pacific
Temperamentpeaceful
Dietcarnivore
Care Levelintermediate
Minimum Tank Size (Gallons)30
Max Size (Inches)4
Water TypeSaltwater
Temperature Range (°F)72-82
pH Range8.1-8.4
Compatible SpeciesClownfish, Cardinalfish, Blennies, Dwarf Angelfish, Tangs, Wrasses, Most corals and invertebrates
Description
The Neophyte Sandgoby is a small, peaceful saltwater fish known for its sand-sifting behavior, helping to keep the substrate clean. It features a pale body with scattered brown spots and typically inhabits sandy bottoms of reefs and lagoons. This species is an excellent addition to a mature reef or fish-only-with-live-rock aquarium.




