
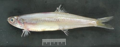
Indian Anchovy
NameIndian Anchovy
Scientific NameStolephorus indicus
Common NamesIndian Anchovy, Indian Stolephorus
FamilyEngraulidae
OriginIndo-Pacific, Indian Ocean, Southeast Asia
Temperamentpeaceful
Dietomnivore
Care Levelexpert
Minimum Tank Size (Gallons)300
Max Size (Inches)7
Water TypeSaltwater
Temperature Range (°F)75-82
pH Range8.1-8.4
Compatible SpeciesSpecies-only tank, Other small, peaceful planktivorous marine fish (in very large aquariums)
Description
The Indian Anchovy is a small, silvery, schooling marine fish found throughout the Indo-Pacific. It is characterized by its elongated body and large mouth, adapted for filter feeding on plankton. Primarily a commercially important food fish, it is not commonly kept in home aquariums due to its specialized care requirements for schooling and open swimming space.




